西班牙遭遇30年来最严重水灾
【今日新闻导读】 2024-10-31 西班牙遭遇30年来最严重水灾 本轮强降雨天气已造成95人死亡 24小时降雨343毫米 短时雨量之大创当地历史最高纪录 台风“潭美”已致菲律宾145人死亡37人失踪 超700万人受灾 海南过程降雨量突破1200毫米 成为14年来遭遇的最极端暴雨 降雨量突破10月极值 “康妮”或成为近年来登陆台湾最强台风 上海将迎1981年以来11月最大降雨 赞比亚铜带省一矿场发生坍塌 造成8人死亡 激光雷达技术发现巨大玛雅城市 6674座玛雅建筑从未“露面” 美国发生多起大型野火 过火面积超4000平方公里 希腊羊痘疫情暴发致超2.4万只动物被扑杀 高传染性疾病在英国卷土重来 乌总统称北欧多国表态愿增加对乌国防支持 美国对俄罗斯相关的数百个实体和个人实施制裁
西班牙本轮强降雨天气已造成95人死亡 据财联社10月31日电 西班牙全国范围内因本轮强降雨天气导致的死亡人数已达95人。 西班牙东部和南部地区29日遭遇强降雨,多地发生洪水,陆路和航空运输受到影响。瓦伦西亚大区成为受到恶劣天气严重影响的地区。 原文链接:https://www.cls.cn/detail/1843524 西班牙遭遇30年来最严重水灾 24小时降雨343毫米 短时雨量之大创当地历史最高纪录 视 频

西班牙东部瓦伦西亚地区29日彻夜暴雨,引发严重洪灾,大量遭洪水冲走的汽车30日堆积在街道中央。 据中时新闻网10月30日讯 西班牙东部、南部地区周二(29日)发生强降雨,东部盛产柑橘的瓦伦西亚(Valencia)地区许多城镇、道路遭暴洪淹没,周三已出现大量灾情,这是西班牙近30年来最严重的水灾。 综合美联社、路透社、英国《每日邮报》周三(30日)报道,西班牙部分区域降雨量已达200毫米,周三雨势已停歇,但暴雨预计会持续至周四(31日)。 阿尔瓦塞特省、阿梅里亚省(Almeria)均有部分地区通报下了冰雹,据报冰雹如同高尔夫球大。 这是西班牙1996年以来最严重的洪灾,当时庇里牛斯山脉毕斯卡斯(Biescas)因山洪夺走87条人命。 西班牙这次洪灾致死人数是欧洲2021年以来最惨重的一次。2021年7月,西欧多国暴雨成灾,超过200人丧生,德国逾180人死亡。 西班牙是世界上最大的鲜橙与干橙出口国。瓦伦西亚农业调查研究所数据显示,瓦伦西亚柑橘产量占该国约60%。西班牙最大农民团体之一ASAJA周二表示农损将会非常惨重。 原文链接:https://www.chinatimes.com/cn/realtimenews/20241030005072-260408?chdtv 另据中国气象爱好者10月30日讯 据西班牙气象部门报告,巴伦西亚西部山区的一个气象站在24小时内降雨343毫米,短时雨量之大创下当地历史最高纪录。 路透社报道称这是西班牙30年来遭遇的最严重洪灾。 原文链接:https://weibo.com/1763864272/ODZcGdAne
台风“潭美”已致菲律宾145人死亡37人失踪 超700万人受灾
△图片来源:菲律宾八打雁省政府
据腾讯网10月30日讯 菲律宾国家减灾委发布消息称,截至10月30日早8时,台风“潭美”在菲律宾共造成145人死亡,37人失踪,受灾人数超过700万。
原文链接:https://news.qq.com/rain/a/20241030A04EMD00
海南过程降雨量突破1200毫米 成为14年来遭遇的最极端暴雨 降雨量突破10月极值 视频 | 海南多地因暴雨积水严重,降雨量突破10月极值 视 频 据中国气象爱好者10月30日讯 海南这场由台风“潭美”滞留引起的极端暴雨,今天午后终于开始减弱。 截至目前,海南万宁国家站连续两天出现特大暴雨,琼海牛路岭水库24小时疯狂降雨655.6毫米,48小时1011.5毫米,过程降雨量突破1200毫米,已经成为2010年之后海南遭遇的最极端暴雨。 目前,琼海万泉河水位正逼近1948年的历史最高纪录。此外,南渡江、太阳河、陵水河出现超警洪水。 原文链接:https://weibo.com/1763864272/ODW6n6h8R
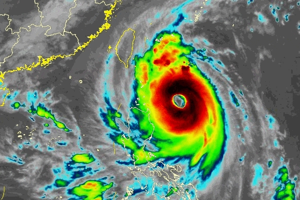
“康妮”或成为近年来登陆台湾最强台风 据中国气象爱好者10月30日讯 台风“康妮”步步紧逼,预计将于明天午后以强台风、超强台风强度正面登陆台东至花莲沿海,随后在明晚进入台湾海峡并转向北偏东方向移动,11月1日飞速掠过闽浙沿海北上。 “康妮”有可能成为近年来登陆台湾岛的最强台风,花莲台东明天将直面台风核心区极端大风侵袭,而台湾东北部迎风坡也将遭遇24小时近千毫米的超大豪雨,与7月“格美”台风相比,风的影响更为突出。 明晚,台风中心移入台湾海峡后,“康妮”将调头北上,但这个转向位置非常微妙,偏西一点就会直接上岸横扫闽浙沿海,偏东一点就变成“描边王”,贴着近海北上,是否登陆、在哪里登陆变数很大。 “康妮”在靠近东南沿海的过程中,将裹挟巨量水汽冲入华东。11月1日,冷暖空气将在长三角上空激烈对战,制造大范围暴雨、大暴雨甚至特大暴雨。但是暴雨落区依然存在不确定性。如果台风走得偏西,暴雨就会更深入内陆,对江浙沪影响就会更严重。 总的来说,10月底11月初,东南沿海来这么一个实打实的大型秋台风历史罕见。 原文链接:https://weibo.com/1763864272/ODYm8BCpI
上海将迎1981年以来11月最大降雨
据央视新闻10月30日讯 受今年第21号台风“康妮”外围环流和冷空气共同影响,31日傍晚到11月1日,上海有大暴雨,过程雨量120~180毫米,东南部可达220~280毫米,最大小时雨强40~70毫米,降水具有极端性,有可能成为1981年以来11月最大降水过程。31日夜里起风力逐渐增大,11月1日最大陆地阵风8~9级,洋山港区阵风10~11级。
今年第21号台风“康妮”,今天早晨增强为超强台风,11时其中心位于距离台湾省台东市东南约520公里的太平洋洋面上,中心附近最大风力有17级,中心最低气压为925百帕,七级风圈半径380~480公里。
预计“康妮”将以每小时15~20公里的速度向西北方向移动,强度还将有所增强,将于31日中午到下午在台湾岛南部或中部登陆,尔后沿浙闽沿海一带近海北上(也可能在上述沿海地区登陆或擦过),强度迅速减弱。
受“康妮”外围环流和冷空气共同影响,10月31日下午起上海将出现阵雨天气,傍晚开始雨势增强,强降水将持续到2日凌晨,降水集中时段出现在31日半夜至11月1日白天。过程累积雨量大暴雨(120~180毫米),上海东南部地区雨量更显著(局部可达220~280毫米),可能成为上海1981年以来11月最大降水过程。
原文链接:https://baijiahao.baidu.com/s?id=1814340324543590414&wfr=spider&for=pc
赞比亚铜带省一矿场发生坍塌 造成8人死亡
据腾讯网10月31日讯 赞比亚铜带省警方当地时间10月30日通报,当天早些时候,位于赞比亚铜带省钦戈拉市的一矿场发生坍塌,造成8人死亡。
原文链接:https://news.qq.com/rain/a/20241031A010BD00?qudao=qbsearch_news&query=%E8%B5%9E%E6%AF%94%E4%BA%9A%E9%93%9C%E5%B8%A6%E7%9C%81%E4%B8%80%E7%9F%BF%E5%9C%BA%E5%8F%91%E7%94%9F%E5%9D%8D%E5%A1%8C%20%E9%80%A0%E6%88%908%E4%BA%BA%E6%AD%BB%E4%BA%A1
激光雷达技术发现巨大玛雅城市 6674座玛雅建筑从未“露面”

该遗迹在墨西哥东部坎佩切州被发现。图源:英媒 据新浪网10月30日讯 据雅虎新闻网29日报道,一座巨大的玛雅城市在墨西哥的丛林消失几个世纪后被外界发现。考古学家在这里发现了6674座未曾“露面”的玛雅建筑,包括与著名的奇琴伊察和蒂卡尔遗址里金字塔一样的金字塔。 报道称,2013 年,一个墨西哥环境监测组织对墨西哥坎佩切州进行了一次非常彻底的激光雷达调查,而考古学家奥尔德·托马斯则与其他研究人员一起,对其中一块面积为50平方英里地区的激光雷达数据进行分析,他们的研究结果周二(10月29日)发表在剑桥大学出版的《古物》杂志上。研究发现,该地区遍布着密集而多样的玛雅定居点,其中还包括一座完整的城市,城市中存在金字塔、运动场、连接各区的堤道和圆形剧场。研究人员将这座城市称之为瓦莱里亚纳(Valeriana)。 据报道,研究人员称,瓦莱里亚纳在公元750年至850年的鼎盛时期可能有3万至5万人居住,这个数字甚至超过了目前居住在该地区的人口数量。该遗迹的规模仅次于卡拉克穆尔遗址,后者是古代拉丁美洲最大的玛雅遗址。 研究报告的共同作者马塞洛·卡努托教授说,这一发现有助于改变西方人认为热带地区是“文明灭亡之地”的观念。相反,这个地区拥有丰富而复杂的文化。 原文链接:https://k.sina.com.cn/article_1686546714_6486a91a02002efa4.html 导游文章:《第九奥秘——《修仙篇》之十三 》
美国发生多起大型野火 过火面积超4000平方公里
据腾讯网10月30日讯 当地时间10月29日,据美国国家跨部门消防中心消息,目前美国全国范围内至少发生11起大型野火,过火面积超过4046平方公里。
据科罗拉多州消防官员称,该州特勒县于28日下午发生的野火持续失控,当地超700户居民接到疏散命令。大火摧毁了一座建筑,当地已宣布进入灾难紧急状态。此外,俄克拉何马州的一起野火烧毁了当地一国家野生动物保护区超48平方公里的土地。
原文链接:https://news.qq.com/rain/a/20241030A054H500?qudao=qbsearch_news&query=%E7%BE%8E%E5%9B%BD%E5%8F%91%E7%94%9F%E5%A4%9A%E8%B5%B7%E5%A4%A7%E5%9E%8B%E9%87%8E%E7%81%AB%20%E8%BF%87%E7%81%AB%E9%9D%A2%E7%A7%AF%E8%B6%854000%E5%B9%B3%E6%96%B9%E5%85%AC%E9%87%8C
希腊羊痘疫情暴发致超2.4万只动物被扑杀
据光明网10月30日讯 据希腊《每日报》当地时间29日报道,过去一周,希腊全国共确诊27例羊痘病例,且新病例仍在不断出现。
羊痘分为绵羊痘和山羊痘,是由羊痘病毒引起的一种传染病,病羊发热并有较高死亡率,属于“非人畜共患病”。
报道称,迄今为止,希腊已发现133起羊痘病例,导致24064头动物被扑杀。
原文链接:https://m.gmw.cn/2024-10/30/content_1303884709.htm
高传染性疾病在英国卷土重来
据上观新闻10月30日讯 据英国《每日邮报》网站29日报道,疥疮、梅毒、坏血病和麻疹等维多利亚时代高传染性疾病在英国卷土重来。
报道说,英国维多利亚时代流行的多种疾病正在蔓延。数据显示,2022年英格兰和威尔士超80万人因营养不良相关疾病入院,过去15年重病入院的英国人增四倍、10年内翻番。痛风病例5年激增近10倍,2023年利物浦大学医院NHS基金会记录的痛风病例比2019年增加960%。
儿童传染病麻疹和百日咳、性传播疾病梅毒和淋病等病例数近年大幅激增。麻疹、百日咳今年出现了近几十年来最大规模的增长。梅毒病例数达20世纪40年代以来最高,淋病病例数达1918年有记录以来最高。
原文链接:https://export.shobserver.com/baijiahao/html/812919.html
乌总统称北欧多国表态愿增加对乌国防支持 据新浪网10月30日讯 乌克兰总统泽连斯基当地时间10月30日在社交媒体上表示,此次乌克兰-北欧峰会上,丹麦、冰岛、挪威、芬兰和瑞典表示愿意增加对乌克兰国防的支持。泽连斯基称,各国已同意加大在国防生产上的合作。 此外,他还表示与与会者讨论了包括 “爱国者 ”在内的其他防空系统的供应问题。 原文链接:https://k.sina.com.cn/article_1686546714_6486a91a02002ehz6.html 美国对俄罗斯相关的数百个实体和个人实施制裁 财联社10月30日电 美国财政部发布声明称,对与俄罗斯相关的数百个实体和个人实施制裁。 原文链接:https://www.cls.cn/detail/1843395
Last updated